Black Diamond SR 169 roundabout projects undergoes SEPA process
Published 10:15 am Thursday, April 6, 2023
SR 169 commuters should be prepared to buckle up and settle in, because congestion on the highway could get a little gnarly — for the next two years and beyond.
That’s right, the long-awaited highway roundabout project is nearly ready to get underway, though there are a few more boxes to check off before shovels can be put into the ground.
Black Diamond’s Master Development Review Team Director Andy Williamson, whose team oversees Oakpointe’s Ten Trails housing development as it continues to grow, announced at the March 2 council meeting that WSDOT officially permitted the roundabout project. This gives the city the green light to start the State Environmental Policy Act process, which will examine what sort of impact the $20 million project will have on the environment and impose mitigation strategies, if necessary.
All costs are being covered by Oakpointe.
Plans for the roundabout have been in the works since June 2018, Williamson said; “It’s been a challenging project.”
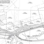
To be constructed are actually two one-lane roundabouts, not just one. The first will be installed at the SR 169/Roberts Drive intersection; the second is just a bit further north, affecting the highway intersection at Pipeline Road.
Work will also be performed on the Black Diamond-Ravensdale Road intersection, making it a right-in, right-out only road— meaning southbound traffic will need to use one of the roundabouts to turn around to access the road.
Despite all this work, which is why estimated costs jumped from $10 million to $20 million, SR 169 is not expected to close.
“It might be a lot of congestion,” WIlliamson said, noting that a current water line project in this same area on SR 169 has had traffic backing up to Maple Valley at times. To mitigate traffic, “We’re heavily considering doing the work at night, but we haven’t made that determination yet.”
The SEPA process officially began on April 5 with the legal notice in this week’s physical edition of the Courier-Herald.
Normally, the city would conduct the SEPA review on its own, but “we’re doing, on this one, a SEPA consultation, because it’s a big project. It’s going to affect a lot of jurisdictions,” Williamson said, adding that experts and consultants from numerous stakeholders will be involved in the process, from the state to people who live around the project area.
If everything goes without a hitch — as in, no one appeals — the SEPA process in Black Diamond normally takes about 14 days.
With the consultation, an additional 14 days is being provided to allow more time for any appeals to come forward before a SEPA determination is made.
Construction is hoped to begin in the summer.
And even when this project is finished — a minimum of two years is estimated, Williamson said — that won’t be the end of traffic in this stretch of SR 169, because as soon an the road re-opens, the state will start construction on two new fish culverts to aid migrating fish like salmon navigates local waterways.
So in short, maybe start bringing a book on your commute.
